Nicaragua, lovită de cel mai puternic uragan al sezonului
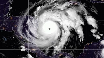
Uraganul Iota a lovit Nicaragua, la două săptămâni după ce țara a fost devastată de Eta, o altă furtună devastatoare, relatează BBC.
Pe măsură ce a atins uscatul, intensitatea a scăzut la categoria 4, dar Centrul american al Uraganelor a declarat că rămâne „extrem de periculos”.
Iota este cel mai puternic uragan Atlantic al anului.
Sezonul uraganelor din acest an din Atlantic a doborât recordul numărului de furtuni.
Pentru a doua oară, experții au fost nevoiți să folosească literele alfabetului grecesc pentru a boteza furtunile.
Honduras, Guatemala și Nicaragua și-au evacuat locuitorii din zonele joase și din apropierea râurilor din regiunea de coastă a Atlanticului, pe care se așteaptă să o lovească Iota.
Înainte de a ajunge în America Centrală, furtuna a trecut pe lângă insula columbiană Providencia din Caraibe.
Efectul ploilor ar putea fi deosebit de distrugător în zonele deja afectate de uraganul Eta acum două săptămâni. NHC spune că Iota a lovit la doar 25 de kilometri sud de locul în care Eta a atins coasta pe 3 noiembrie.
Eta a lăsat în urmă cel puțin 200 de oameni morți.
Zona cea mai afectată a fost regiunea centrală Alta Verapaz din Guatemala, unde alunecările de noroi au îngropat zeci de case în satul Quejá.



