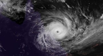
Ciclonul Debbie ameninţă nord-estul Australiei
27/03/2017
În aşteptarea puternicului ciclon Debbie, mii de persoane sunt evacuate în nord-estul Australiei.
Furtuna ‘monstru’ se anunţă cea mai violentă din ultimii ani care loveşte regiunea.
De câteva zile, ciclonul se formeză în largul statului Queensland.
Autorităţile au somat oamenii să îşi părăsească locuinţele pentru a nu îşi pune vieţile în pericol.
În 2011, nord-estul Australiei a fost lovit de furtuna Yasi, care a provocat distrugeri masive.
CITEȘTE ȘI





